
1/7




+2
more
£140K
Size not specified
£140K
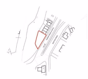
Land at 210 Albion Road
Size not specified
Land in Land at 210 Albion Road for Sale - £140,000
This property remains available and open to offers following the auction on 25 September 2025. Please contact the auctioneers on for further details.
Land in Land at 210 Albion Road for Sale - £140,000
Size not specified
fields
available
freehold
Description
This property remains available and open to offers following the auction on 25 September 2025. Please contact the auctioneers on for further details.
Contact Agent
BTG Eddisons Property Auctions, Nationwide
Smart Picks — Professionals Relevant to This Land
Based on this property's key features, here are the specialists you may want to consult as part of your due diligence: land agents and rural solicitors.
Location
Land at 210 Albion Road

